Portuguese English Spanish
Interface
Adjust the interface to make it easier to use for different conditions.
This renders the document in high contrast mode.
This renders the document as white on black
This can help those with trouble processing rapid screen movements.
This loads a font easier to read for people with dyslexia.
Busca Avançada
Você está aqui: Notícias

Notícias

Estudo premiado foi apresentado por pós-doutorando do IOC no '6th International Symposium on Immunobiologicals'
Evento multidisciplinar trará temas atuais na área de infecções associadas ao sistema nervoso central e periférico, com foco em epidemiologia, diagnóstico, patogênese, imunologia e biologia celular e molecular
Autoridades acompanharam a rotina do Laboratório de Vírus Respiratórios e Sarampo do IOC, referência para o vírus nas Américas
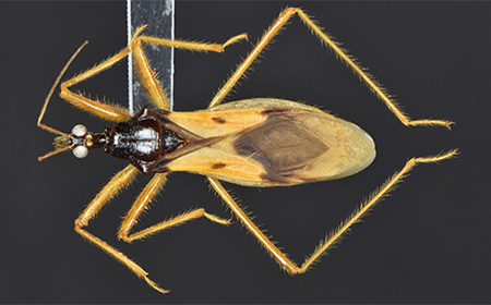
O nome ‘Zelurus galvaoi’ presta reconhecimento a Cleber Galvão pelas suas contribuições nos estudos de reduviídeos
Filme produzido pelo IOC com apoio da VideoSaúde Distribuidora está em cartaz até 14 de maio
Mais disseminada no mundo, a linhagem cosmopolita do sorotipo 2 do vírus foi detectada em Goiás. Cientistas não identificaram, até o momento, associação entre a cepa e o aumento de casos da doença no estado, porém alertam para importância de ações de controle e vigilância
Ao longo de dez dias, o grupo visitou importantes universidades e centros de pesquisa com o objetivo de ampliar as parcerias internacionais
Com foco na evolução de vírus e epidemiologia molecular, 26º Workshop VEME será realizado no Panamá, em agosto. Evento oferece módulos de treinamento para profissionais iniciantes e avançados
Medalha Ruth Nussenzweig foi concedida a jovem pesquisadora por sua contribuição no estudo da doença
O imunizante desenvolvido pelo pesquisador irlandês Adrian Hill, da Universidade de Oxford, foi um dos destaques do terceiro dia da 16ª Reunião Nacional de Pesquisa em Malária

Páginas